
Toalillehooldaja meelepea. Aita taimi raskel perioodil....

Järgnev meelespea kulub toataimede sügis-talvisel hooldusel ära....

Käsitöö veebruari-märtsinumber pakub lugejatele mitmeid sooje kudumeid, nii mütse, salle kui ka käpikuid ja inspireerivaid lugusid nii kudumise, uue tikkimistehnika kui ka rõivaste väärindamise kohta....

Aasta pimedaimal ajal nõrgenenud toataimed on paljudele kahjuritele kerge saak. Tunne vaenlasi....

Jälgi hoolega oma toataimi!...

Armastad maitsvaid saiakesi? Muidugi! Aga kas teed ka vahet neil kolmel erineval küpsetisel?...

Pinnakatte- ehk vaibandrooside populaarsus on meie aedades ja haljasaladel aasta-aastalt kasvanud. Pinnakatterooside all peetakse silmas laiuva kasvukujuga madalaid roose, mille mõnevõrra ehk väheldas...

Tarnad on tänuväärt taimed, neid kasutatakse nii liivade kinnistamiseks, mattide punumiseks kui ka dekoratiivtaimedena....

Tubasesse lilleaeda uusi silmarõõme otsides vali sellised, mis ei nurise vähese päevavalguse ja kuiva õhu üle....

Ajakirja Käsitöö detsembri-jaanuarinumber on ilmunud! Leiad sellest 28 põnevat isetegemise projekti nii algajale kui ka edasijõudnule, põnevat lugemist ja kamaluga inspiratsiooni loomiseks!...

Piisab ühest kogukast ja kauni lehestikuga toataimest, et anda ruumile hoopis teine ilme....

Margariin koosneb taimsetest või loomsetest rasvadest, millest piimarasv võib moodustada kuni 3 protsenti. Ka margariinid jaotatakse rasvasisalduse järgi nagu võigi: 80–90 protsenti, 60–62 protsenti j...

Peale nahale antava kaitsekile efekti on õlidel ka teisi toimeid: mõned komponendid pärsivad põletikku, mikroorganismide tegevust ja vabade radikaalide mõju, teised koostisosad seevastu ergutavad uuen...
kk.jpg.webp?itok=o8jdpkMT)
Tänava poolt vaadates ei aimagi, kui värvikas, kihiline ja isikupärane maailm end selle maja sees avab....

Ilmselt istub meepurgike pea iga Eestimaa kodu köögikapis. Tavaliselt võetakse see välja siis, kui on vaja teed magusamaks teha, saia peale midagi head määrida, hommikuputru magustada või salatile mõn...

Tavaliselt leiab maapähklikreeme kahe tekstuuriga, kas ühtlaseid kreemjaid või krõmpsuvate pähklitükkidega – keele viivad alla mõlemad! Kirjeldame maitseid, et teaksid, milline pähklikreem poes just s...

Äädikapuu toob aeda lõunamaist sära....

Jagame trikke, kuidas saab kuusepuu dekoreerida õhulisemaks ja aia valgusega lummavamaks....

Kui tavapäraselt kipuvad teismelised huvituma pigem ekraanimaailmast, siis Rapla Vesiroosi Kooli 9. klassi poissi Jakob Ermanni (15) on väiksest peale köitnud hoopis käsitöö. Esimesed näputöökatsetuse...

Haapsalu seostub käsitööhuvilisele udupeenelt kootud sallide ja pitsidega, kuid sealses kutsehariduskeskuses saab ka muud näputööd õppida. Laia teemadevaliku ja kõrgelt tunnustatud õpetajate abiga ann...

Talvel ruumides olev soe ja kuiv õhk meeldib väga kedriklestadele....

Uuenenud ajakirja Käsitöö juuni-juulinumber on ilmunud! Uutmoodi sisulahendus pakub nüüd mugavamat kasutamist ja värvilisemat üldmuljet....

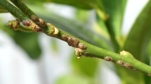
Kilptäid on 3–5 mm pikkused pruunid „kühmukesed”, mida kogenematu silm ei oska taimel märgatagi. Neid tuleb otsida lehtede alumiselt poolelt pearoodude lähedalt, lehevartelt, võrsetelt ja õieraagudelt...

Moodne aed maalilise Viljandi järve kaldal on saanud inspiratsiooni ümbritsevast loodusest ning modernsest arhitektuurist. Lihtsa ja selge stiiliga aed moodustab osa suuremast tervikust, ühendades oma...

Kõiki toalilli pole vaja igal aastal ümber istutada. Veidi suuremat potti ja värsket mulda vajavad igal kevadel noored rohtsed taimed ja kiirekasvulised liigid....